Xanthippus montanus


 Geographic range of  Xanthippus montanus  (Thomas)

Geographic range of Xanthippus montanus (Thomas)


 Fig. 1, adult male
Fig. 1, adult male
 Fig. 2, adult female
Fig. 2, adult female
 Fig. 3, inner view of hindleg
Fig. 3, inner view of hindleg
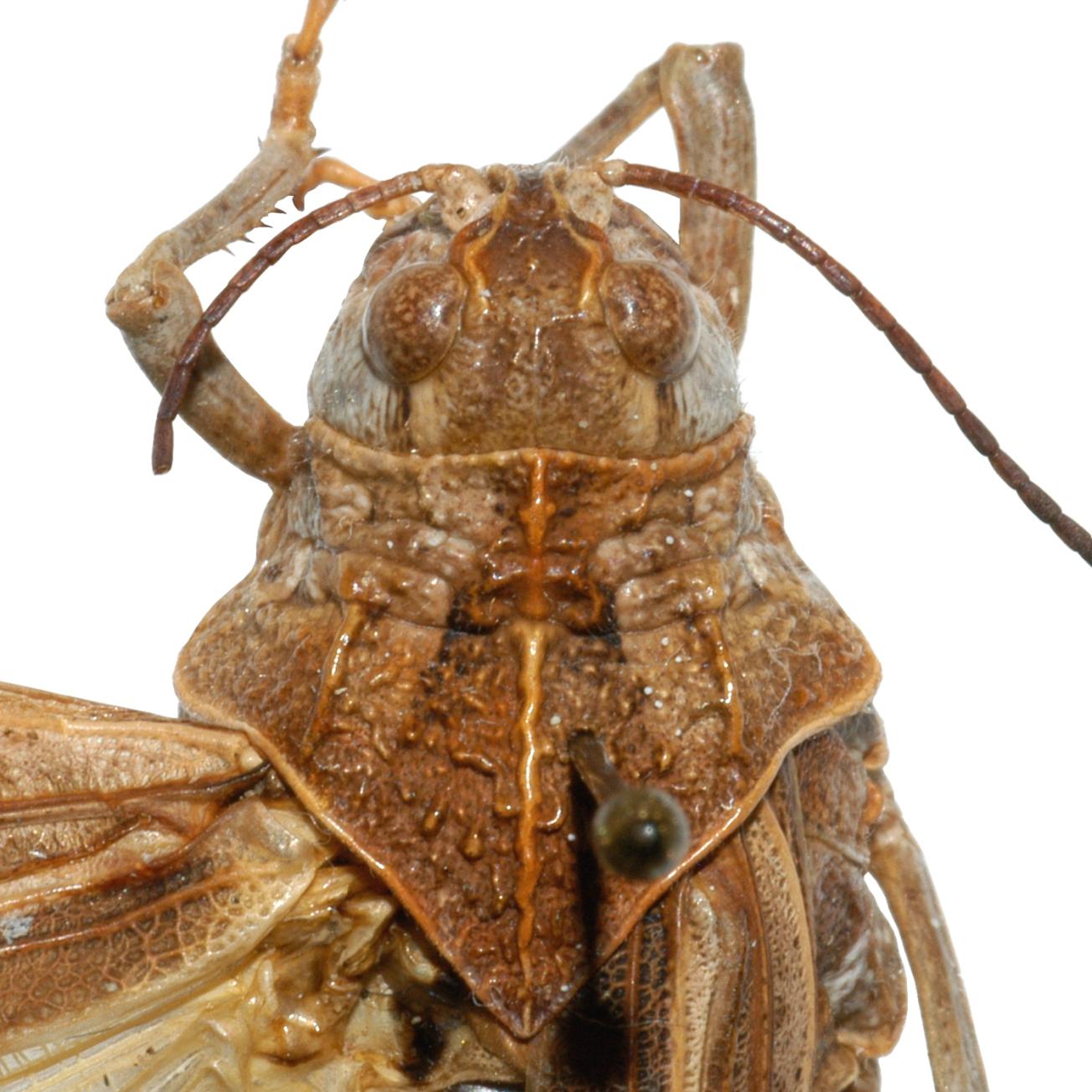
 Fig. 4, dorsal pronotum
Fig. 4, dorsal pronotum
 Fig. 5, forewing (tegmen) and hindwing
Fig. 5, forewing (tegmen) and hindwing

Species

Montana band-winged grasshopper

Xanthippus montanus (Thomas)

Subfamily Oedipodinae

Identification

Light brown in color with distinct sculpturing of the pronotum. Tegmina possess a small amount of spotting that becomes more evident basally. Hind wings yellow with a black band. Inner surface of the hind femur is red with a variable degree of black markings. Hind tibia also shades of red.

Could be confused with Xanthippus corallipes, but the spotting on the tegmina of X. montanus is not as bold and tend to be more sporadic. The inner hind femur of X. montanus it typically patterned with black, while it is usually solid red in X. corallipes. However, high elevation populations of X. corallipes may show some blackish on the inner hind femur. Xanthippus montanus does not occur at high elevations and is restricted to sparsely vegetated sandy areas.

Distribution and habitat

Xanthippus montanus ranges from southern New Mexico and Arizona north into Alberta and Saskatchewan, Canada. Found in sandy habitats including dunes, blowouts, and eroded/sparsely vegetated areas.

Economic importance

Not economically important.

Food preferences

Not known. Has been reared on grasses, but potentially feeds on forbs.

Dispersal and migration

Not known. Xanthippus montanus is a rare species. As it has powerful wings, it may be capable of long distance flight.

Hatching

Little is known.

Nymphal development

Variable, but nymphs are normally present from the middle of summer to early spring.

Adults and reproduction

Adults are present from April to August, but are most common from April through June.

Population ecology

Little is known due to the rarity of this species throughout its range. Observations in Nebraska suggest it undergoes fluctuations in abundance from year to year.

Daily activity

Unknown.

Source and date

University of Nebraska June 2011 by Sean Whipple & Mathew L. Brust

Selected references

Brust, M. L., W. W. Hoback, and R. J. Wright. 2008. The Grasshoppers (Orthoptera: Acrididae and Romaleidae) of Nebraska. University of Nebraska-Lincoln Extension. 138pp.

Capinera, J. L., R. D. Scott, and T. J. Walker. 2005. Field Guide to Grasshoppers, Katydids, and Crickets of the United States. Comstock Publishing Associates. 280pp.

Otte, D. 1984. The North American Grasshoppers, Volume II, Acrididae: Oedipodinae. Harvard University Press, Cambridge, MA. 366 pp.